Dos ambiciosos proyectos de renaturalización transformarán conocidas plazas y una emblemática calle del Barrio del Oeste
Salamanca se prepara para un nuevo impulso en su transformación urbana hacia un modelo más verde y sostenible. Será a través de dos significativos proyectos que están en proceso de licitación y cuyas obras se espera que comiencen tras el verano. En cualquier caso, prometen cambiar la fisonomía de varias plazas céntricas y de la emblemática calle Gütenberg en el Barrio del Oeste. Con una inversión global que ronda los 230.000 euros, estas actuaciones se integran en el Plan de Sostenibilidad Turística de Salamanca, una iniciativa cofinanciada a partes iguales por el consistorio salmantino, la Junta de Castilla y León y el Gobierno de España.
La concejala de Medio Ambiente, María José Coca, ha subrayado que estos proyectos representan un avance crucial en la Estrategia de Infraestructura Verde, Savia. El objetivo es "introducir la naturaleza en el entorno urbano y generar espacios más saludables y turísticos", según palabras de la edil. Esta visión busca no solo mejorar la calidad de vida de los ciudadanos, sino también modernizar la estética de los barrios y potenciar su atractivo.
Estas intervenciones persiguen, además, "impulsar la transición hacia la sostenibilidad medioambiental del destino y responder a la necesidad de diversificar la oferta, incorporando recursos naturales y culturales para favorecer los nuevos flujos turísticos que asocian medio ambiente y calidad de vida".
Coca destaca el importante esfuerzo inversor del Ayuntamiento en los últimos cinco años, superando los 150 millones de euros en todos los barrios. Esta "transformación imparable", como la definió, continúa en 2025 con 22,4 millones de euros presupuestados para nuevas obras, cifra impulsada por el superávit del ejercicio anterior. Entre las actuaciones futuras se incluyen la renovación de tuberías, urbanización de calles, nuevas plazas como la de Vistahermosa, renovación de Los Bandos y parques infantiles, modernización de infraestructuras deportivas, el nuevo polideportivo de Pizarrales, una pista en Los Alcaldes, y más plantaciones de arbolado.
Este primer gran proyecto cuenta con un presupuesto base de licitación de 173.278,40 euros y un plazo de ejecución estimado de tres meses. Se centra en plazas caracterizadas actualmente por un exceso de pavimentación y una notable escasez de vegetación y mobiliario urbano.
Desde una perspectiva turística, estas áreas poseen un gran potencial cultural, albergando la iglesia románica de San Cristóbal y el museo de pinturas de Santa Clara, cercano a las plazas de Bretón y San Román. La intervención busca reducir el efecto ‘isla de calor’ y conectar estos espacios mediante un corredor verde.

Se creará un bosque urbano en los parterres existentes, mejorando las plantaciones sin alterar la estructura. Las praderas de césped, de alto consumo hídrico, se naturalizarán con especies arbustivas y tapizantes de bajo requerimiento de agua, fomentando la biodiversidad y evitando la erosión.
Se incorporará iluminación artística para realzar la escultura de San Cristóbal y se abrirán alcorques en las calles Bodegones y Asadería, conectando con la zona verde del nuevo ascensor de las ‘escaleras de la Riojana’.

Se embellecerá el frontal de la escultura de Tomás Bretón con ajardinamiento ornamental. Se crearán dos grandes alcorques hasta los muros limítrofes con las calles Pedro Cojos y Grillo, que incluirán especies trepadoras para reverdecer las paredes.

Dando continuidad a una zona verde ya proyectada, se crearán tres alcorques individuales en alineación paralela a la calle Santa Clara, y otro junto al Palacio del Conde de Francos, próximo a la calle Mártires.

Se habilitarán dos grandes alcorques, uno en la intersección con la calle Cáliz y otro en el lateral con la calle Marquesa de Almarza. La fuente ornamental se mejorará con una nueva cascada de dos metros de anchura.
Se plantará diverso arbolado y arbustiva. En la plaza de la Parra y la calle Pinto se crearán tres alcorques individuales; en la plaza del Santo, dos; en la calle Bretón, un alcorque corrido; en la calle Mártires, cuatro individuales; y en la calle Numancia, uno.
En total, estas intervenciones supondrán la plantación de 87 árboles y 1.024 arbustos, además de la instalación de 19 bancos de madera y 4 fuentes bebedero, transformando significativamente estos espacios públicos.

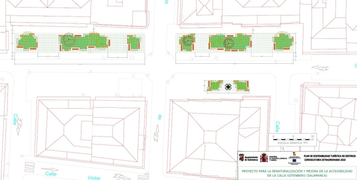
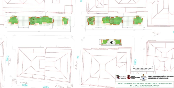
El segundo proyecto, enfocado en la calle Gütenberg del Barrio del Oeste, dispone de un presupuesto base de licitación de 56.684,92 euros y un plazo de ejecución de dos meses. Esta actuación responde a una petición de la asociación de vecinos ZOES.
Se reordenará el espacio para mejorar la accesibilidad a portales y negocios, y se incrementará notablemente el mobiliario urbano con 20 nuevos bancos de madera. Los espacios libres se pavimentarán con grandes losas en color verde, se instalará una fuente bebedero y una mesa de ajedrez, buscando facilitar "amplios espacios abiertos para la realización de actividades que al mismo tiempo permitan el uso intergeneracional de la calle".
Las zonas ajardinadas actuales, formadas por parterres con rosales, se potenciarán para aumentar la biodiversidad. Se crearán nuevos parterres con borduras de elementos naturales como rocas y troncos ornamentales, que favorecerán la aparición de musgos, líquenes e insectos beneficiosos.
Se introducirán 172 metros cuadrados de plantas arbustivas, diseñadas para ofrecer floración variada y atraer insectos polinizadores. Además, se reforzará el arbolado con 10 nuevos árboles frutales, que aportarán variedad cromática, mejorarán la estética paisajística y contribuirán a reducir el efecto ‘isla de calor’.
Esta intervención en la calle Gütenberg busca ampliar los escenarios de experiencia turística en el Barrio del Oeste mediante la movilidad sostenible y el paisajismo experimental, al tiempo que se potencian los espacios estanciales para consolidar los pequeños negocios de la zona.